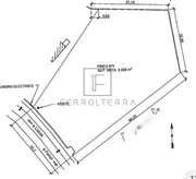
Hoy os traemos esta finca URBANIZABLE situada en Raxón en la parroquía de Cobas (Ferrol), la cual cuenta con una superficie de 2.928 m2 (6 ferrados).
Está cerrada por el frente con un bonito muro de piedra de 30,2 metros, el lateral por malla metálica y la parte posterior con un muro de bloque de hormigón.
Ubicación: En la misma carretera general, rodeada de chalets, próxima a la farmacia, iglesia, supermercado, bares y a tan sólo cinco minutos de la playa.
Si necesitas una finca amplia y luminosa, esta podría ser la ideal, para construir el hogar de tus sueños.
Posiblidad de hacer dos viviendas y en caso de interés se puede segregar una parte, en vez de comprar toda la finca.
No lo pienses más y reserva tu cita.
Leer más +Leer menos -Está cerrada por el frente con un bonito muro de piedra de 30,2 metros, el lateral por malla metálica y la parte posterior con un muro de bloque de hormigón.
Ubicación: En la misma carretera general, rodeada de chalets, próxima a la farmacia, iglesia, supermercado, bares y a tan sólo cinco minutos de la playa.
Si necesitas una finca amplia y luminosa, esta podría ser la ideal, para construir el hogar de tus sueños.
Posiblidad de hacer dos viviendas y en caso de interés se puede segregar una parte, en vez de comprar toda la finca.
No lo pienses más y reserva tu cita.
Características del inmueble
Características generales
Habitaciones0AscensorNoGarajeNoCalefacciónNo tiene calefacciónEstadoNingunoMetros de parcela2928TrasteroNoAmuebladoNoTerrazaNo
Datos de interés
Entorno
AutobusesSiMontañaSi
Certificación energética
Exento
Ubicación
Otros inmuebles en venta en Catabois
Venta
Ref. SC01859
Local comercial
61 m2
0 hab
0 baños
Venta
Ref. SC01841
Chalet
1013 m2
5 hab
5 baños
Venta
Ref. SC01783
























